Sitotroga cerealella

Sitotroga cerealella

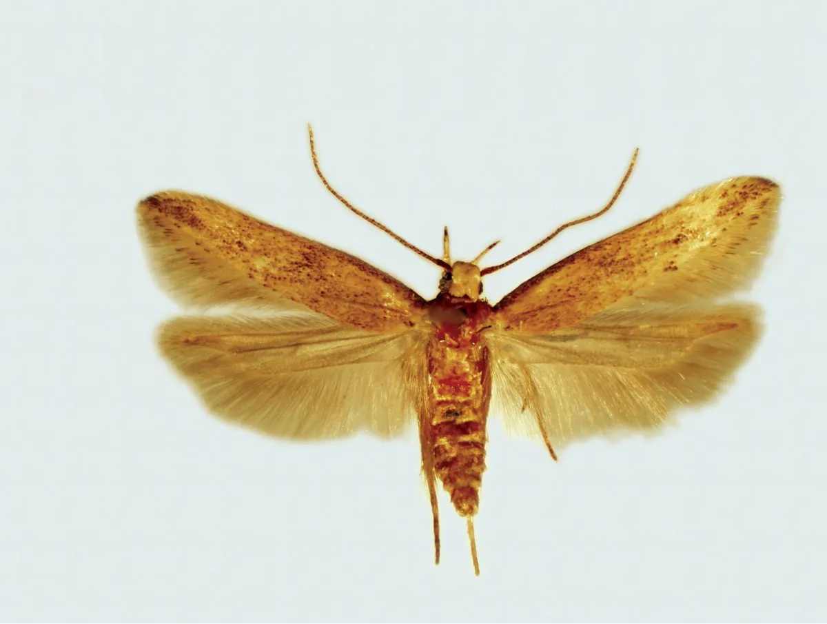
Cytotruga is a small moth known as the grain moth or wheat moth, and its larvae feed on and damage wheat and barley grains as a storage pest.

Call for Price

Description

This insect is raised as an intermediate host in the mass rearing process of Trichogramma wasps, and its eggs are used in the millions of Trichogramma wasp reproductions.

Related products